| 一、舵机的控制原理舵机通过接收PWM信号,使其进入内部电路产生一个偏置电压,触发电机通过减速齿轮带动电位器移动,使电压差为零时,电机停转,从而达到伺服的效果。即给舵机一个特定的PWM信号,舵机旋转到特定角度。 舵机的控制,需要一个20ms的时基脉冲,控制高电平时间为0.5ms~2.5ms范围内即可控制舵机在0 ~ 180°转动。 t=0.5ms---------------舵机转动到0°t=1.0ms---------------舵机转动到45°
 t=1.5ms---------------舵机转动到90°
 t=2.0ms---------------舵机转动到135°
 t=2.5ms---------------舵机转动到180
 ?
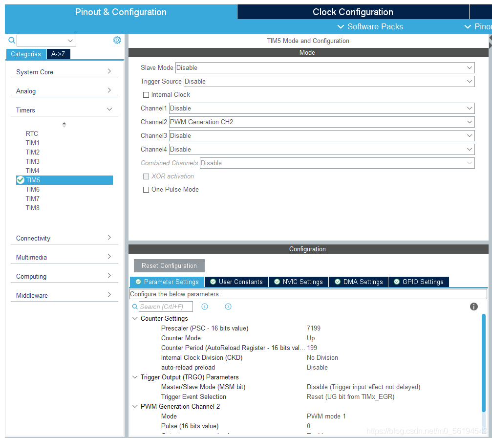
 二、舵机的连线舵机上有三根线,分别是GND(棕色线)、VCC(红色线)和SIG(黄色线),也就是地线、电源线和信号线 三、stm32CubeMx界面配置1.定时器配置 
 ?2.代码实现 /* USER CODE BEGIN 0 */
// angle:角度值,0~180
void Servo_Control(uint16_t angle)
{
   float temp;
   temp =(1.0 / 9.0) * angle + 5.0;       //占空比值 = 1/9 * 角度 + 5
   __HAL_TIM_SET_COMPARE(&htim5, TIM_CHANNEL_2, (uint16_t )temp);
}
/* USER CODE END 0 */
 3.在main中打开对应定时器通道(特别重要)   /* USER CODE BEGIN 2 */
	HAL_TIM_PWM_Start(&htim5, TIM_CHANNEL_2);
  /* USER CODE END 2 */
 4.利用函数实现任意角度控制   while (1)
  {
		
		Servo_Control(200);
		
    /* USER CODE END WHILE */
    /* USER CODE BEGIN 3 */
  }
 四、总结 所有舵机的控制原理都一样,能控制一个,其他的无论模拟,数字都可。 |